Airline Transport Pilot Certificate

Call me Captain!
In early October of 2005 I acquired my Airline Transport Pilot (ATP) certificate -- the highest grade of pilot's certificate offered by the FAA, and the very same certificate required to serve as Captain in multi-engine aircraft in Air Carrier operations. This was a dream nearly 20 years in the making and involved the acquisition of 1500 hours of flight time including significant components of instrument, night, and cross-country experience.
As with all other certificates and most ratings the FAA offers, I had to submit to a written test in addition to the oral and practical exams. This article is an account of my experience on each element of the ATP exam process. My goal is to give prospective ATPs an idea of the work involved, and what to expect on each portion.
Written Exam
I studied on and off for many months in preparation for the written, which was by far the most difficult of any FAA exam I've taken. It's hard to say how much time I spent on the process, but it was likely well in excess of 150 hours.
ATP applicants
can choose to take an exam focused on either 14 CFR Part 135 or
Part 121 regulations. I chose to take the Part 135 exam simply
because I felt I had a better chance at flying part time for a
135 operation and because I knew that most air carriers have
their own customized version of Part 121. I figured if by some
twist of fate I wound up flying for the airlines I'd have to
learn their version of 121 as defined in their ops specs
anyway.
Not surprisingly, the regulations were the most challenging aspect of the exam because I had no frame of reference on which to base the knowledge -- I had never flown under Part 135. Frankly, my eyes started to gloss over the stuff as my personal "irrelevancy filter" got the better of me at times. One thing is sure...the written covers every imaginable and obscure aspect of piloting, which I suppose is appropriate given that the ATP certificate is the "Doctorate" of the aviation industry.
I found a lot of the questions were worded in sneaky ways to mislead the unwary, and many questions had one right answer and three "nearly correct" answers, or answers that were the result of common errors (adding rather than subtracting a certain number, for example). For example, it was downright scary how similar the answers were in the flight planning section -- some values were a tenth of a gallon or mile apart. I mean, things were so close that if you prematurely rounded data, you'd wind up with one of those "nearly correct" answers. Not that anyone would give a crap about a tenth of a mile in the real world, but this wasn't the real world -- it was a FAA written exam. The end result was that I put far more time into the preparation for this exam than any other.
Fortunately, one day in June I passed the test with a 91 and breathed a sigh of relief. Now, at least I knew the examiner wouldn't grill me. Or so I thought.
Back to ATP, Inc.
I finally managed to schedule some time off from work for the practical. Three years ago I used ATP, Inc. to do my MEI in a 15 hour program at their Trenton, NJ facility. I was impressed enough with the quality of instruction that I figured I'd go back to them for my ATP. I chose the longer 10 hour program because I hadn't flown the Seminole in a long time and felt the extra multi-time (needed or not) wouldn't hurt my logbook.
Day 1: October 3rd, 2005
The first day went off without a hitch. I met my instructor, Matt, and we ran through about 2 hours of ground school on the airplane and general systems knowledge.
The weather was beautiful -- the last in a string of "clear and a million" weather days, so we hopped in the airplane and launched. Normally, the entire training program (including the checkride) is accomplished under the hood, but because I'd chosen the 10 hour program I had the luxury of flying the first hour of airwork without the hood. I looked out the windows at the blue skies and the occasional puffy cloud, and once again relished the feeling of security that comes only from flying an airplane with two engines turning.
I then donned the Foggles and shot the VOR 29 at nearby Trenton-Robbinsville. About a mile before the FAF, Matt failed an engine, and I went through the drill, feathering and securing the engine per the checklist as I executed the procedure turn. I arrived at MDA within ATP tolerances and, reaching the MAP, began my missed approach. The left engine was shutdown and the missed approach called for a right turn, so the turn into the operating engine required a bit more muscle to execute properly but the airplane climbed slowly but surely as I established the airplane on the course inbound to the VOR.
A few miles from the VOR, Matt asked me to perform an airstart. Since abnormal and emergency procedures are intended to be executed as do-lists to avoid mistakes in critical situations, I read the "Airstart" checklist and executed each item slowly and deliberately. Following a brief warmup at 15 inches and with the gauges back in the green, I reapplied normal cruise power. My right leg immediately thanked me.
At that point, we arranged to shoot the GPS 34 with a circle to land on runway 6. Turning base and leaving MDA I gave the usual callout "Leaving MDA". I even remembered the trick to landing the Seminole smoothly and kept the power at around 12 inches until adjusting the pitch attitude for the landing. The "flare" in the Seminole isn't really much of one -- like most T-tail aircraft, I just selected a relatively nose-low landing attitude and greased the main wheels, followed soon by the nose.
We were both tired by the end of the flight, so rather
than push for a second flight that evening, I gladly went home
around 5PM. I received a call later that evening from Matt to
discuss weather, and we decided it would be best to get together
at 11AM, by which time the weather was expected to be a bit
better.
Day 2: October 4th, 2005
Once in the office, we realized that the persistent clouds in the 500-1000 overcast range wouldn't allow another airwork flight, so I suggested we file IFR and go to Wilmington, DE, then to Atlantic City, and back to Trenton -- a duplicate of the flight I took during my MEI training to kill some time. To make the trip as realistic as possible, I filed three flight plans and planned to do low-approaches at each field, picking up the clearance for the next hop on each missed approach.
We launched into a 500 overcast deck with about 1 mile visibility, and stayed in the soup for most of the trip. The only snag came a few miles out from Wilmington. We let Philadelphia Approach know we wanted a low approach and to pick up instruments on file to Atlantic City on the missed approach. They were so busy, however, that the controller said we'd have to land at Wilmington and sort it out on the ground. Of course, that was fine with me because it meant another landing in the airplane.
With a reported 600 overcast and winds out of the east, Wilmington was running the GPS runway 9 approach, and we wound up flying that down to minimums with about 100 feet to spare. The visibility was good -- around 2 miles -- but since we were so close to the bases we had some difficulty in finding the airport. I stayed on the gauges until about a mile from the MAP and looked up to find the runway emerging from the fog. After touchdown, Tower asked us to report the bases and flight visibility, and we were happy to do so.
We daparted for Atlantic City and found the controllers there also very busy, but as I've come to expect, still quite accomodating of our needs. After giving us the standard approach clearance for the ILS 13, the controller called "Seminole 2200T, on your missed approach, turn left heading 330, climb and maintain 3000, and expect clearance to the Trenton Airport on the go ". And that's exactly what happened. On the missed we soon arrived at our 4000 foot final cruising altitude between layers but managed an occasional glimpse of the blue skies above all this low-level moisture. We arrived back in Trenton after riding the ILS 6 with both engines turning. Mission accomplished. Matt said that he enjoyed the trip and thought he might use that route in future training with other students.
Back in the office around 2PM, I offered to run out to get lunch for us so he could get some office work done. Over lunch, we discussed the next flight. It was during that discussion Matt told me that based on my performance so far, he thought I was ready for the checkride already. I thanked him for the complement, but told him I felt I had a ways to go before I felt comfortable going anywhere near the examiner.
The second and last flight of the day turned out to be a simple trip to Wilkes-Barre in northeastern PA. I'd been there countless times in other aircraft and knew their controllers to be very accommodating. The weather was forecast to be much better in the Wilkes-Barre area, indeed VFR at our ETA, so we launched. About half way there we popped out of the clouds, so I donned the Foggles for the remainder of the trip, which terminated in an ILS to runway 22. Just as I was intercepting the localizer, an engine "mysteriously" failed. In true Pavlovian fashion, the conditioned response took over and I simulated feathering the engine and securing it for the ride down the approach course. The touchdown on runway 22 and our eventual return trip were completed in textbook fashion, and I would up leaving the ATP office at around 6PM.
Day 3: October 5th, 2005
On the third day and last training flight, we planned a short round-robin to Miller Field (about 30 minutes southeast of Trenton Mercer), back to Trenton Robbinsville (a smaller non-towered airport about 15 minutes southeast) before returning to home base.
Throughout the flight I tried to be smooth about my flying as usual. That worked nicely on the ILS 6 at Miller field, but didn't quite do me justice on the VOR 29 into Trenton Robbinsville. I managed to get about half-scale on the CDI before correcting the error. I had looked away only for a short time (or so I thought), but half-scale is half-scale. Had the examiner been in the right seat at the time, I would have busted the ride. I flew one more ILS single engine into home base within a couple needle widths tolerance so I felt a bit better, but I didn't realize how much that errant VOR approach would haunt me on exam day.
Back in the office, Matt consoled me a bit, but didn't sugarcoat the situation. His general assessment was again very positive, but he admitted that the error exceeded ATP standards of 1/4 scale. While the regulations specified that I techncally didn't need his signoff to take the exam the following day, he smiled and said "well, I don't have to sign you off, but you're more than ready, and plus...to not sign you off would be a clear indication of cowardess on my part". :-) He then signed and dated the 8710 form I'd present to the examiner the next day and told me to go home and get some sleep.
Day 4: October 6th, 2005 (Exam Day)
I arrived about 45 minutes before the examiner so I could get all of my paperwork in order and lay it out on the table in front of him as I did in preparation for my MEI checkride (examiners love to see organization from the start!). With that in good order, I did some last-minute studying.
The examiner showed up at the appointed time and I presented my driver's license as a photo-ID. I also had a county-issued birth certificate with me because ATP HQ said I would need it, but the examiner said that the license was acceptable.
We then went over my 8710 and he pulled up a copy of Part 61 as well as my logbooks to confirm that I had all of the required flight time. I was 7 hours short on night time, but I told him that I was taking advantage of the exception to the 100 hour rule that permits the substitution of night landings for night hours, subject to a few conditions. He wasn't exactly sure whether we should have put 100 hours in the "Night" column and subtracted the appropriate number of landings from the "Night Landings" column or submit it as is, but he said if it was kicked back we'd take care of it at that time.
With paperwork out of the way, we started the Oral exam.
Oral Exam
Some people told me that the ATP oral would be all about systems, but that was less than 5% of it. In reality, it was more like an instrument checkride oral. Once it was pretty clear I knew the airplane like the back of my hand and he made the comment that "I notice you have a lot of time in this airplane", he skipped right to instrument procedures.
On that subject
his first question was "what are the criteria for leaving MDA/DH
on an approach". He was obviously looking for the "big three"
specified in 91.175:
- Runway environment (10 items including the approach lights with the 100' caveat)
- Flight visibility prescribed by the approach minimums (NOT tower visibility)
- Aircraft in a continuous position to land using a "normal descent".
So far so good, I thought.
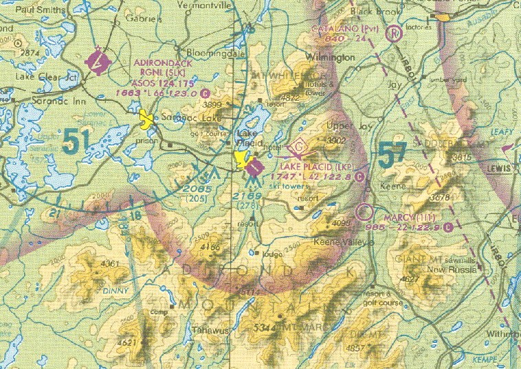
Then he asked me to pull the plates for Lake Placid, NY and skipped to a real-world departure scenario. "Okay, you're at Lake Placid, NY about to depart on a Part 91 flight in a Navajo. It's 2AM, ceiling is 1000 overcast and the prevailing visibility is 1 mile. The wind is from 150 degrees at 20 knots. Boston Center has given you the clearance 'Cleared to the Trenton airport via Direct Saranac Lake, Victor blah...blah, direct. Maintain 7000'. Now, describe how you'd go about departing the airport and get to 7000 feet on course." I gave a description of how I'd depart and he seemed a bit unsettled at my answer. "Ummmm, okay, how about under Part 135?".
Figuring he was searching for another answer, I took a closer look at the airport diagram plate. I focused a bit more on the Obstacle DP text (which only applies to runway 32) and somehow came up with the assumption that if there wasn't an obstacle DP published for 14 I'd climb to 1000' and proceed on course. Needless to say, the answer was right in front of me, but I failed to pick it up for some reason -- probably nervousness.
Like a hawk circling his prey, he asked another seemingly simple question that I didn't answer to his complete satisfaction. "Define a 'standard departure' under IFR." Read AIM 5-2-6. Carefully. Twice. Those guys you see departing IFR and cranking in a turn at 400 feet off the departure end of the runway aren't showboating. They're following procedure. And no, climbing to 1000 feet "for good measure" may work on the coastal plain where I fly, but doesn't constitute a "standard departure" and it certainly isn't appropriate in all situations -- like Lake Placid. Look at the charts and see if you can figure out why (and not just from a regulatory perspective).
The sectional makes it clear, but I didn't have this particular sectional handy at the time...not that pilots actually need a VFR chart to make an IFR departure decision, but reviewing it may have served to point out the obvious. Instrument departures from 14 are NOT AUTHORIZED. Could a Part 91 operator legally launch from this airport with the given clearance? Perhaps in the context of 91.175, but not if the operator wants to avoid the catch-all violation stemming from "careless and reckless operation of the aircraft" should an incident occur.
I felt the examiner go in for the kill as he began to ask a few questions about VDPs. Fortunately, I knew this was a hot button among examiners and had refreshed my memory the prior evening. "If a VDP is charted, can you *ever* [his emphasis] descend below MDA before reaching the VDP?" Answer: No. "How about if you get one or more of the required visual references in sight?" Answer: No, because you're not in a position to commence a "normal descent". "When can you leave MDA if no VDP is charted?" Answer: At the VDP you calculated for the approach. "What's the definition of a 'normal' or 'stabilized' descent?" Oddly enough, I didn't have a good answer for him.
The
bottom line is that while 91.175 specifies a normal "rate" of
decent, in reality what they mean is a specific ANGLE of descent.
This means that you cannot leave the MDA on a straight in
approach until you intersect the "normal descent angle" (3
degrees or whatever is charted...usually something like 2.99 or
3.02, etc.). It's in the regs, but it's also common sense. Say
you're flying at 120KIAS into a 100 Knot headwind (yea, I
know...unrealistic, but bear with me) and start a standard RATE
descent of 500 FPM at the VDP x miles from the threshold --
you'll come up far short of the runway and that's obviously not
"normal" or acceptable. I'd never interpreted the regulation that
way, but it's hard to argue with the logic.
This also means that for straight-in approaches for which no VDP is depicted, you need to calculate a VDP and go missed if you can't satisfy the "big three" at that point AND the approach does not permit circling. If the approach does allow circling, you need to be at the circling minimums (which may very well be higher than the straight-in minimums) before commencing the circling procedure.
Incidentally, the VOR 29 into Robbinsville, NJ is a good example of an approach that makes this easy -- the straight-in and circling minimums are the same, so you can fly down to the MDA and easily convert it to a circling procedure if you don't have the "big three" at the calculated VDP by flying to the MAP and then starting the circling procedure. This led us into some of the finer points of circling approaches and protected airspace, and thankfully I answered those questions to his liking.
He presented another scenario. "Assuming you're flying Part 135. Tower reports ceiling and visibility below minimums before you reach the FAF. Can you continue the approach?" Answer: No. "Okay, let's say weather was above minimums outside the FAF but just after glideslope intercept tower reports an indefinite ceiling of 100 feet and 1/4 mile. Can you continue the approach?" Answer: Yes. "Alright, with the weather reported as 100 and 1/4, you arrive at the DH and visbility is by your estimation to be 1/2 mile. However, the bases are definitely at 100 feet. You can barely see the threshold lights through the clouds, but you *do* see them. Can you land?" Answer: Yes, provided you have the required visbility. Recall that the "big three" mentions only visiblity and that the "D" in MDA or DH means the altitude at which you must make a "decision" -- not the minimum ceiling required, as there is no such restriction.
He then said "You've just flown the ILS 6 at Trenton with the intention to circle to 24. You break out and level off at circling minimums for the approach and begin to circle with left traffic. At around the midfield point on the downwind, you reenter clouds and lose contact with the runway. Describe the missed approach procedure." I told him I'd begin a climbing left turn toward the runway, climb to the highest altitude specified in the missed approach procedure, proceed direct Yardley, and hold as published. He said "That's good. You have no idea how many people tell me they have to fly to the missed approach point at the approach end of runway 6 before they execute the published procedure. When I ask them precisely how they'd navigate back to the MAP in the clouds with no established procedures or navigation references, they stumble. The points to take home here are that you've already passed the MAP and the pilot is responsible for obstacle clearance, so you need to know how to stay within protected airspace. That will dictate what you do."
While I missed a few questions, I apparently managed to make enough of a favorable impression with him that he said "well, why don't you get weather and we'll see if we can go fly today". At that point I'd assumed I'd passed the oral, but the day wasn't over yet.
Practical Exam
Flight service painted a less than stellar picture, with low MVFR and IFR conditions throughout the area, and little hope of improvement before everything went back to low IFR this evening. Not exactly optimal checkride weather. I gave him a summary and suggested that this would be the best day for at least a week and told him "I'm comfortable doing the checkride in actual if you are, but if you want to do the stall sequence we'll have to get above 3000 feet AGL, and obviously we don't want to be feathering any engines in the clag".
Now, I know what you're thinking. Stalls in IMC? This isn't as crazy as it sounds. The stalls for the ATP are not like stalls for the Private Pilot. Recovery is at the first indication of a stall. Done correctly, they appear to be nothing more than a transition from cruise to slow flight and back again. The goal is to maintain altitude throughout the entire maneuver so it can be done in a normal cruising mode along an airway or while on vectors.
The forecast indicated a slight improvement in the next hour so he said "let's wait a half hour, I'll think about it and then we'll make the call". About 15 minutes later I wandered out of the office to find the examiner out in the hall talking quietly to my instructor over by the window. Seeing me, the examiner then motioned for me to join them.
"Okay Doug, let's do this." I grinned and asked him whether the FAA frowned on doing checkrides in actual. He smiled a bit and said there was a standing "strong recommendation" to avoid giving checkrides in actual, but that there was no regulation prohibiting it. We then discussed our plan of action before he asked me to file the flight plans and meet him out at the airplane.
Familiar Territory
Then something magical happened. I hopped in the airplane with the examiner and my nervousness disappeared. This felt very familiar. He said "Doug, I'm just going to hang out here. You're PIC and this is your airplane. The only thing I have to say up front is you are not to feather any engines without my approval. Do you understand?" In an effort to ensure clarity I responded "Yes. I will NOT feather any engines unless you authorize me to do so. I'll simulate feather and mixture idle-cutoff by moving the controls about half way back". He said "alright then...let's go". I picked up our clearance, briefed the taxi route as well as the normal departure procedures, and called out "full power -- gauges green, airspeed alive, rotate...", etc. during the takeoff.
As it turned out, we were in the clag for the entire 1.6 hour flight except for the last few hundred feet of every approach. I made all the necessary callouts, worked the radios with a calm, professional voice, using standard phraseology (well, except for the occasional "thanks for the help") and clearly annunciated all checklist items. I briefed the approaches and the missed approach procedures. When I had the time I predicted the future -- "the next vector should be a left turn to 150". And sure enough, a few moments later, the controller would come back with "Seminole 00T, turn left heading 150". I switched to advisory frequency and gave clear position reports that both VFR and IFR pilots would understand. I flew the missed approach procedures by the book, giving a play-by-play on each. "Missed approach. Climbing to 600 feet straight ahead...Turning right 240 direct Cedar Lake, climbing to 1900 feet".
When engines "mysteriously" failed at an inopportune time on approach, I calmly announced "Engine failure -- mixtures, props, throttles full forward, flaps up, gear up, identify, verify, feather, mixture cut-off". Once the airplane was flying predictably again, I announced "In flight engine failure checklist" and recited each item has I touched the appropriate controls, maintained heading control, secured the engine and simulated communications with ATC to report the failure and declare an emergency.
All the while, rain bathed the airplane and the occasional turbulence served to give my basic attitude instrument skills a workout. But those heavy engines on the wings helped with lateral stability and managed to keep my course tracking to within 2 needle-width tolerances, altitude to within +/- 30 feet, vertical speed to within 50 FPM and my heading to within a couple degrees. I tried to be smooth on the controls yet firmly extract the required performance from the airplane. And throughout it all, I even managed to do my best impression of a propeller synchrophaser. Back at Trenton I concluded the flight with a single-engine ILS to a touchdown precisely on the runway centerline.
Frankly, I surprised myself. It was the best flying I'd done in 20 years. And for the first time in my career I didn't need to wait for the examiner to say anything. I knew I'd kicked ass...and it was a GREAT feeling. After I turned off the runway, the examiner remarked "Very nice job, Doug. You know your procedures." At that point relief washed over me as I realized I'd erased any doubt in the examiner's mind that I deserved the ATP for which I'd worked so hard. We never wound up doing the stall sequence, but I imagine he figured the weather gave me enough of a workout.
As I secured the airplane, the examiner walked back to the office. On my way back to the office, I passed Matt in the hall. He smiled, gave me the thumbs up and whispered "great job!". 15 minutes later, I received my temporary airman's certificate with "Airline Transport Pilot" written on top and realized I'd brought my 19 year old dream into reality.


